Image caption
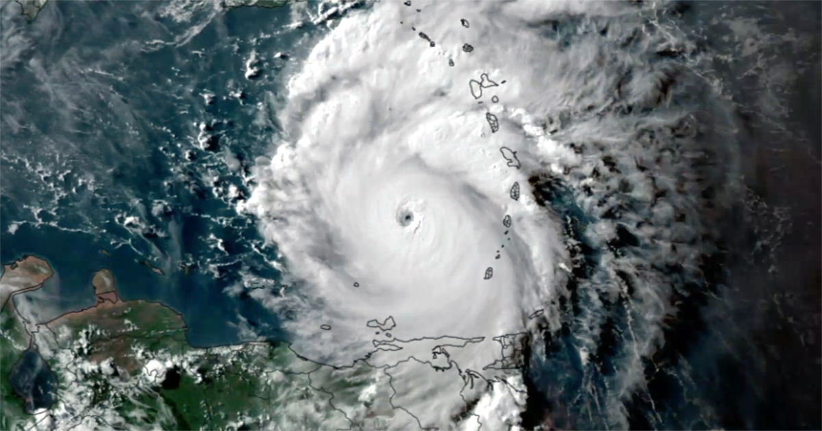
GOES-16 satellite imagery of Hurricane Beryl on July 1, 2024, as it rapidly intensified in the Caribbean Sea. Hours after this image was taken, Beryl strengthened into a catastrophic Category 5 hurricane. Credit: CSU/CIRA & NOAA
This website is an ARCHIVED version of NOAA Climate.gov as of June 25, 2025.
Content is not being updated or maintained, and some links may no longer work.
GOES-16 satellite imagery of Hurricane Beryl on July 1, 2024, as it rapidly intensified in the Caribbean Sea. Hours after this image was taken, Beryl strengthened into a catastrophic Category 5 hurricane. Credit: CSU/CIRA & NOAA